
Theo Liên đoàn Chữ thập đỏ quốc tế (IFRC), khoảng 1,5 triệu người tại Jamaica sẽ bị ảnh hưởng trực tiếp bởi bão Melissa.
Ngày 28/10 (giờ địa phương), Trung tâm Bão Quốc gia Mỹ (NHC) cảnh báo siêu bão Melissa có thể tiếp tục gia tăng sức mạnh sau khi áp suất trung tâm giảm xuống mức kỷ lục 901mb, thấp hơn cả bão Katrina năm 2005. Jamaica, Cuba và Bahamas trong tình trạng khẩn cấp vì nguy cơ mưa lũ và sóng dâng chết người.
Hồi 2h ngày 28/10 (giờ miền Đông ET), siêu bão Melissa duy trì sức gió cực đại khoảng 280 km/h, tiếp tục ở cấp 5 - mức cao nhất trên thang Saffir-Simpson.
Tuy nhiên, điều khiến giới khí tượng đặc biệt lo ngại là áp suất trung tâm đã giảm từ 909 xuống còn 901mb, thấp hơn mức thấp nhất của bão Katrina (902mb) - một dấu hiệu rõ ràng cho thấy Melissa đang mạnh lên.
Các máy bay săn bão của Cơ quan Quản lý Khí quyển và Đại dương Quốc gia Mỹ (NOAA) đã liên tục bay vào vùng mắt bão để thu thập dữ liệu. Kết quả sơ bộ cho thấy thành mắt bão Melissa có thể đang phát triển thêm một vòng đối lưu mới, thường báo hiệu giai đoạn tăng cường độ tiếp theo.
Giới chuyên gia gọi đây là "cơn bão tồi tệ nhất thế kỷ" mà quốc đảo Caribê này từng đối mặt, và cũng là một trong những siêu bão mạnh nhất thế giới trong năm nay.
Phát biểu tại Geneva, bà Anne-Claire Fontan, chuyên gia về bão nhiệt đới của Tổ chức Khí tượng thế giới (WMO), cho biết: "Jamaica đang chuẩn bị cho một thảm họa. Đây chắc chắn sẽ là cơn bão của thế kỷ đối với quốc đảo này".

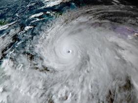
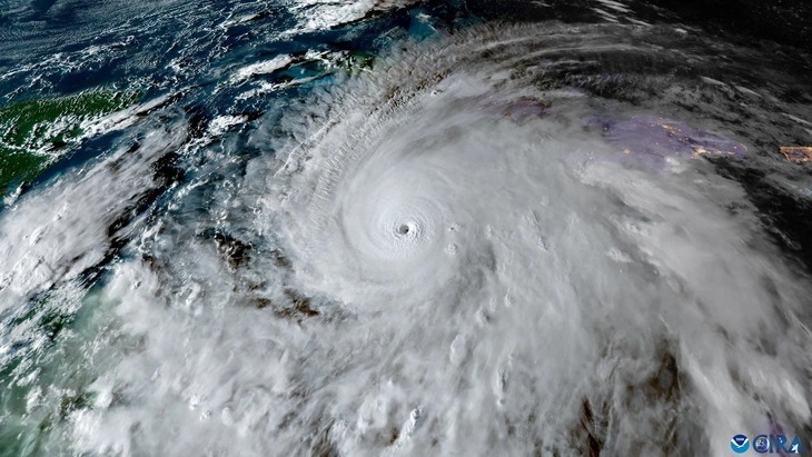
Hình ảnh vệ tinh cho thấy siêu bão Melissa trên biển Caribê ngày 27/10. Ảnh: Reuters
Tới sáng sớm 29/10, bão Melissa đã suy yếu đôi chút thành bão cấp 4 sau khi đổ bộ vào Jamaica, trở thành cơn bão mạnh nhất từ trước đến nay tấn công trực tiếp vào quốc gia Caribe với 2,8 triệu dân này.
Theo NHC, Melissa đã đổ bộ gần thị trấn New Hope với sức gió mạnh nhất liên tục là 185 dặm/giờ (295 km/giờ), cao hơn nhiều so với sức mạnh tối thiểu của một cơn bão cấp 5, cấp mạnh nhất trong thang bão Saffir-Simpson.
Mặc dù sức gió dữ dội của cơn bão có thể tàn phá nhà cửa và cơ sở hạ tầng, nhưng các chuyên gia cảnh báo mưa mới là mối nguy hiểm chết người của siêu bão Melissa.
Jamaica dự kiến hứng chịu lượng mưa lớn 500-750mm, cục bộ trên 1.000mm ở vùng núi phía đông, gây ra lũ quét và sạt lở diện rộng.
Theo Liên đoàn Chữ thập đỏ quốc tế (IFRC), khoảng 1,5 triệu người tại Jamaica sẽ bị ảnh hưởng trực tiếp bởi bão Melissa. Tổ chức này đã triển khai sẵn các vật tư cứu trợ gồm nước sạch, chăn mền, bạt che và bộ dụng cụ vệ sinh, đồng thời cảnh báo "hàng chục nghìn, thậm chí hàng triệu người sẽ trải qua một ngày vô cùng khó khăn".
Các chuyên gia cảnh báo siêu bão Melissa có thể gây tàn phá tương đương các siêu bão lịch sử như Maria (2017) hay Katrina (2005).

Hai người đàn ông đang gia cố nhà cửa. Ảnh: Reuters
Nhà khí tượng học Jonathan Porter từ AccuWeather nhận định: "Những cơn bão lớn di chuyển chậm thường trở thành thảm họa chết chóc nhất trong lịch sử".
Theo các nhà khoa học, biến đổi khí hậu do con người gây ra đang khiến nước biển ấm lên nhanh hơn, dẫn đến việc các cơn bão tăng cường sức mạnh đột ngột và mang theo lượng mưa khổng lồ.
Nhà khí hậu học Daniel Gilford nhấn mạnh: "Con người đang khiến mọi yếu tố tồi tệ nhất của siêu bão Melissa trở nên nghiêm trọng hơn".
Thủ tướng Jamaica Andrew Holness đã ban hành lệnh sơ tán bắt buộc tại nhiều khu vực phía nam, bao gồm thị trấn lịch sử Port Royal, đồng thời cảnh báo: "Không có cơ sở hạ tầng nào trong khu vực có thể chịu được sức gió cấp 5".
Ông cho biết chính phủ đã bố trí ngân sách ứng phó khẩn cấp 33 triệu USD và chuẩn bị hơn 800 trung tâm trú ẩn trên toàn quốc./.
Nguồn: Mộc Miên/doisongphapluat.com.vn


